Land For Sale

Santa Cruz, Guanacaste
$1,099,000 Property ID: 1134452082

Inquire about this property

WhatsApp
Location: Santa Cruz, Guanacaste, Costa Rica

Over 130 m of Roadfront Exposure on Main Route to JW Marriott – Perfect for Tourism, Residential or Commercial Development

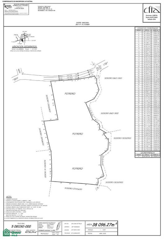
This exclusive 38,096 m² property sits less than 3 km by paved road from the white sands of Playa Avellanas, with more than 131.8 m of direct frontage on the high-traffic highway leading to JW Marriott Reserva Conchal. A recent professional cadastral survey (G-36124-2025) confirms the boundaries and location as registered in Costa Rica’s SIRI system, ensuring a clean title and accurate lot dimensions.

Whether you’re looking for a long term investment, planning a future development boutique resort, home subdivision or mixed use complex, this site lends itself to a variety of uses.

Important Facts:

Land Area: 38,096 m² (approx. 9.6 acres)

Road Frontage: Over 131.8 m on the main paved route to Playa Avellanas and JW Marriott Reserva Conchal

Beach Proximity: Less than 3 km to Playa Avellanas via paved road

Survey Verification: Boundaries and location match the SIRI registry per cadastral survey G-36124-2025

Coordinates: 10.244335, -85.814934 (view on Google Maps)

Interested parties, contact us for more information and to schedule a site visit.

Print PDF

MLSID
1134452082
Price
$1,099,000
Status
Available
Property Type
Land
Internal area
38000 SQ M
LOT Area (SQ M)
38000
Acres
9.39
Additional Features
Unfurnished

Inquire about this property today.

Fill out the form below and we will be in touch
Sign Up For Property Alerts